ที่ดินเปล่า ใกล้ Big C (ปราจีนบุรี) เหมาะทำรีสอร์ท หอพัก หมู่บ้านจัดสรร บ้านพักอาศัย ฯลฯ
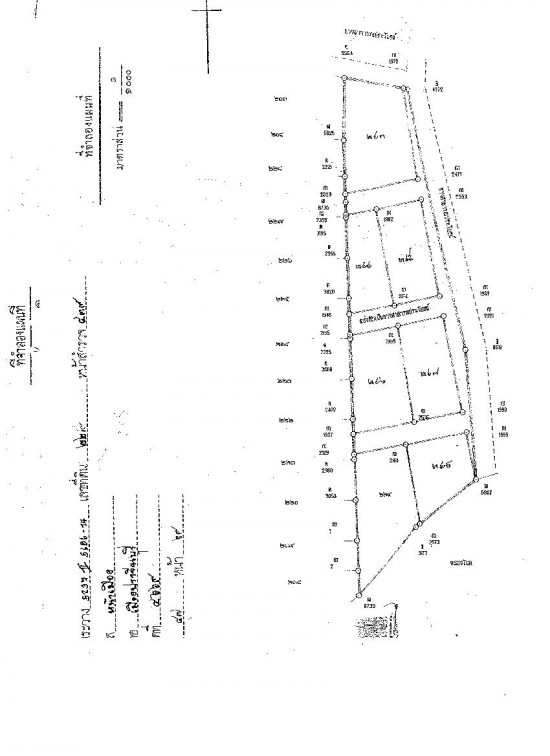
-ที่ดินเปล่าเหลือเพียง 6 แปลง ** พื้นที่ทั้งหมดรวม 3.24 ไร่
-ขนาดแปลงละ 276 / 147 / 195 / 219 / 195 / 265 ตร.วา
-ที่ถมแล้วเกือบ 20 ปี พร้อมก่อสร้างได้เลย
-น้ำไม่เคยท่วม
-ทำเลดีมาก (หลังบิ๊กซีปราจีนบุรี) ** เพียงเดินก็ถึงบิ๊กซีำได้เลย **
-ใจกลางเมืองเหลือเพียงไม่กี่โซน
** โฉนดพร้อมโอน**
** ขายเพียงตร.วาละ 10,000 บาท เท่าั้นั้น
สนใจติดต่อขอดูที่ รายละเอียดเพิ่มเติมที่ K.ทิพ 089-662-0884
![]() |
| ติดต่อ: | ทิพ | อีเมล์: | |
| โทรศัพย์: | 0896620884 | จังหวัด: | ปราจีนบุรี |
| คำค้น: | หอพักใกล้บิ๊กซีปราจีนบุรี | | ||
ลงประกาศ | เลื่อนประกาศขึ้น | ลบประกาศ | แก้ไขประกาศ
[ รับจำนอง ขายฝาก บ้าน ที่ดิน ทั่วประเทศ กู้เงินง่าย ได้เงินไว ไม่เช็คแบล็คลิส ]
ลงประกาศ | เลื่อนประกาศขึ้น | ลบประกาศ | แก้ไขประกาศ

