ต้องการขายที่ดิน จ.ระยอง
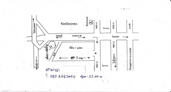
ต้องการขายที่ดิน จ.ระยอง จำนวน 19 ไร่ ติดถนนทางหลวงสาย 36 ห่างจากพัทยาเซอร์กิต 10 ก.ม. เหมาะกับการสร้างโรงงานหรือโกดังสินค้า ที่ดินอยู่ปากซอยเป็นมุมกับ ถนนใหญ่สาย 36 ที่อยู่ ต.มะขามคู่ อ.นิคมพัฒนา จ.ระยอง การเดินทางสะดวกมาก ราคาไร่ละ 1,900,000 บาท (หนึ่งล้านเก้าแสนบ้านถ้วน) ขายยกแปลงจำนวน 19 ไร่ 3 งาน
![]() |
| ติดต่อ: | สามารถ | อีเมล์: | |
| โทรศัพย์: | 080-4487097 | จังหวัด: | ระยอง |
| คำค้น: | ต้องการเช่าโกดัง ว่างป่าว อ.นิคมพัฒนา จ.ระยอง | โกดังให้เช่า นิคมพัฒนา ระยอง | | ||
ลงประกาศ | เลื่อนประกาศขึ้น | ลบประกาศ | แก้ไขประกาศ
[ รับจำนอง ขายฝาก บ้าน ที่ดิน ทั่วประเทศ กู้เงินง่าย ได้เงินไว ไม่เช็คแบล็คลิส ]
ลงประกาศ | เลื่อนประกาศขึ้น | ลบประกาศ | แก้ไขประกาศ

