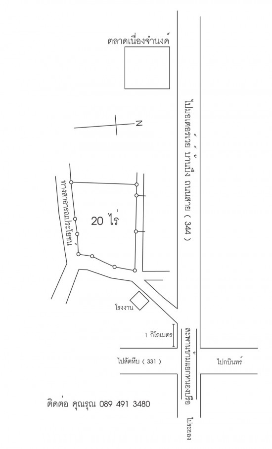
ขายที่ดิน 20 ไร่ ใกล้ถนนสาย 344 บ้านบึง
ที่ดิน 20 ไร่ ห่างถนนสาย 344 เพียง 1 กิโลเมตร ห่างจากแยกหนองปรือหรือหนองไผ่แก้วเพียง 1 กิโลเมตรเท่านั้น การเดินทางสะดวก ราคาไม่แพง
![]() |
| ติดต่อ: | รุณ | อีเมล์: | |
| โทรศัพย์: | 089 491 3480 | จังหวัด: | ชลบุรี |
ลงประกาศ | เลื่อนประกาศขึ้น | ลบประกาศ | แก้ไขประกาศ
[ รับจำนอง ขายฝาก บ้าน ที่ดิน ทั่วประเทศ กู้เงินง่าย ได้เงินไว ไม่เช็คแบล็คลิส ]
ลงประกาศ | เลื่อนประกาศขึ้น | ลบประกาศ | แก้ไขประกาศ

