ขายที่ดิน 50 ไร่ อ. หนองใหญ่ เหมาะสำหรับสร้างโรงงานอุตสาหกรรม
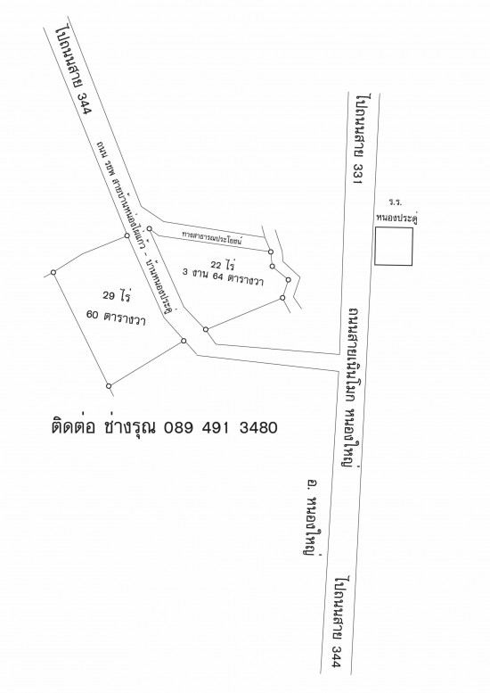
ขายที่ดิน 2 แปลง 22 ไร่ 3 งาน 64 ตารางวา และ 29 ไร่ 60 ตารางวา ขายแยกหรือรวมก็ได้ ราคาไม่แพง เหมาะสำหรับทำโรงงานอุตสาหกรรม
![]() |
| ติดต่อ: | รุณ | อีเมล์: | |
| โทรศัพย์: | 089 491 3480 | จังหวัด: | ชลบุรี |
ลงประกาศ | เลื่อนประกาศขึ้น | ลบประกาศ | แก้ไขประกาศ
[ รับจำนอง ขายฝาก บ้าน ที่ดิน ทั่วประเทศ กู้เงินง่าย ได้เงินไว ไม่เช็คแบล็คลิส ]
ลงประกาศ | เลื่อนประกาศขึ้น | ลบประกาศ | แก้ไขประกาศ

