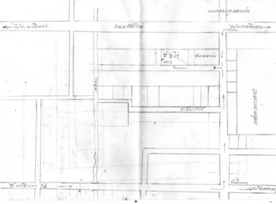
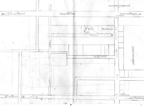
ขายถูก ที่ดินทำเลดี 2 ไร่ ห่างถนนรัชดา-รามอินทรา 100 เมตร เหมาะแก่การลงทุนเป็นอย่างมาก
ขายถูก ที่ดินทำเลดีจำนวน 2 ไร่
ห่างจากถนนใหญ่ ถนนรัชดารามอินทรา 100 เมตร
ขาย 50 ล้านบาท
ที่ดินเหมาะแก่การลงทุนเป็นอย่างมาก
สนใจติดต่อ คุณศิริวรรณ 089-914-6137, 089-025-9659
หรือ คุณกรกฎ 089-112-2360
![]() |
| ติดต่อ: | ศิริวรรณ | อีเมล์: | |
| โทรศัพย์: | 089-914-6137 | จังหวัด: | กรุงเทพมหานคร |
ลงประกาศ | เลื่อนประกาศขึ้น | ลบประกาศ | แก้ไขประกาศ
[ รับจำนอง ขายฝาก บ้าน ที่ดิน ทั่วประเทศ กู้เงินง่าย ได้เงินไว ไม่เช็คแบล็คลิส ]
ลงประกาศ | เลื่อนประกาศขึ้น | ลบประกาศ | แก้ไขประกาศ

