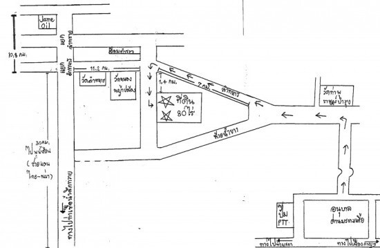
ที่ดินกาญฯใกล้กับท่าเรือน้ำลึกทวาย 80 ไร่่ 12 ลบ. (ขาย หรือเช่าระยะยาว) พร้อมบ้านพัก (โกดัง) 08-7010-6794
ที่ดินนส. 3 ก ติดทางหลวง หนองปลาหมอ-พุตามั่น กจ.4010 (Two ways) 80 ไร่ 12 ลบ. (แบ่งขายได้ หรือเช่าระยะยาว) พร้อมบ้านพักตากอากาศ ประปา และไฟฟ้าส่วนภูมิภาค สูงกว่าระดับน้ำทะเลมากถึง 50 เมตร กว้างติดทางหลวงตลอดเส้น 280 ม.ลึก 500 ม. เหมาะทำโรงงาน/โรงแรม/บ้านจัดสรร/รีสอร์ท/อื่นๆ สถานที่ตั้ง อ. ด่านมะขามเตี้ย จ. กาญจนบุรี [ฝั่งเดียวกับวัดหนองหญ้าปล้อง ห่างจากอำเภอด่านมะขามเตี้ย 13 กม. ห่างจากกรุงเทพ 170 กม. ห่างจากชายแดนไทย-พม่า 40 กม. ห่างจากท่าเรือน้ำลึกทวาย 210 กม.]
โทร. 08-7010-6794(โก๋)
หมายเหตุ แบ่งขายได้ และยินดีรับข้อเสนอทุกเงื่อนไข อยากจ่ายกี่งวด งวดละเท่าไหร่ เสนอมาได้ครับ (รอเดินสำรวจออกโฉนด)
![]() |
| ติดต่อ: | Koa | อีเมล์: | |
| โทรศัพย์: | 08-7010-6794 | จังหวัด: | กาญจนบุรี |
ลงประกาศ | เลื่อนประกาศขึ้น | ลบประกาศ | แก้ไขประกาศ
[ รับจำนอง ขายฝาก บ้าน ที่ดิน ทั่วประเทศ กู้เงินง่าย ได้เงินไว ไม่เช็คแบล็คลิส ]
ลงประกาศ | เลื่อนประกาศขึ้น | ลบประกาศ | แก้ไขประกาศ

