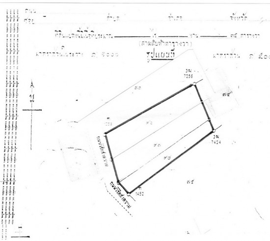
ขายที่ดินหน้าติดถนนทางหลวงวิชิตสงครามเนื้อที่ 143 ตารางวา ( 20 เมตร ลึก 33 เมตร ) ขาย 9 ล้าน
ขายที่ดินหน้าติดทางหลวงตรงข้าม รร.บ้านเก็ตโฮ่ หรือตรงข้ามโรงเหล้า สามารถทำอาคารพาณิชย์ได้ ต้องการขาย
เนื้อที่ 143 ตารางวา เอกสารสิทธิ์ โฉนด จำนวน 3 แปลง ( หน้ากว้าง 20 เมตร ลึก 33 เมตร )
ราคาเสนอขาย 9 ล้านบาท
![]() |
| ติดต่อ: | joe | อีเมล์: | |
| โทรศัพย์: | 081-8018609 | จังหวัด: | ภูเก็ต |
ลงประกาศ | เลื่อนประกาศขึ้น | ลบประกาศ | แก้ไขประกาศ
[ รับจำนอง ขายฝาก บ้าน ที่ดิน ทั่วประเทศ กู้เงินง่าย ได้เงินไว ไม่เช็คแบล็คลิส ]
ลงประกาศ | เลื่อนประกาศขึ้น | ลบประกาศ | แก้ไขประกาศ

