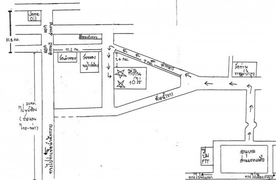
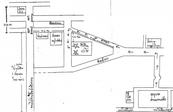
Hot Promotion !! ที่ดิน กาญจนบุรี ใกล้ ทวาย 10 ไร่ ผ่อนเดือนละ 55,555 (36 งวด) ไม่ต้องดาวน์
ที่ดินนส. 3 ก ติดทางหลวง หนองปลาหมอ-พุตามั่น กจ.4010 (Two ways) ใกล้ ทวาย 10 ไร่ ผ่อนเดือนละ 55,555 บาท (36 งวด) ไม่ต้องดาวน์ ประปา และไฟฟ้าส่วนภูมิภาคพร้อม สูงกว่าระดับน้ำทะเลมากถึง 50 เมตร กว้างติดทางหลวงตลอดเส้น 35 ม.ลึก 500 ม. เหมาะทำโรงงาน/โรงแรม/บ้านจัดสรร/รีสอร์ท/อื่นๆ สถานที่ตั้ง อ. ด่านมะขามเตี้ย จ. กาญจนบุรี [ฝั่งเดียวกับวัดหนองหญ้าปล้อง ห่างจากอำเภอด่านมะขามเตี้ย 13 กม. ห่างจากกรุงเทพ 170 กม. ห่างจากชายแดนไทย-พม่า 40 กม. ห่างจากท่าเรือน้ำลึกทวาย 210 กม.]
โทร. 08-7010-6794(โก๋)
![]() |
| ติดต่อ: | Koa | อีเมล์: | |
| โทรศัพย์: | 08-7010-6794 | จังหวัด: | กาญจนบุรี |
| คำค้น: | ที่ดินกาญจนบุรี ทวาย | | ||
ลงประกาศ | เลื่อนประกาศขึ้น | ลบประกาศ | แก้ไขประกาศ
[ รับจำนอง ขายฝาก บ้าน ที่ดิน ทั่วประเทศ กู้เงินง่าย ได้เงินไว ไม่เช็คแบล็คลิส ]
ลงประกาศ | เลื่อนประกาศขึ้น | ลบประกาศ | แก้ไขประกาศ

