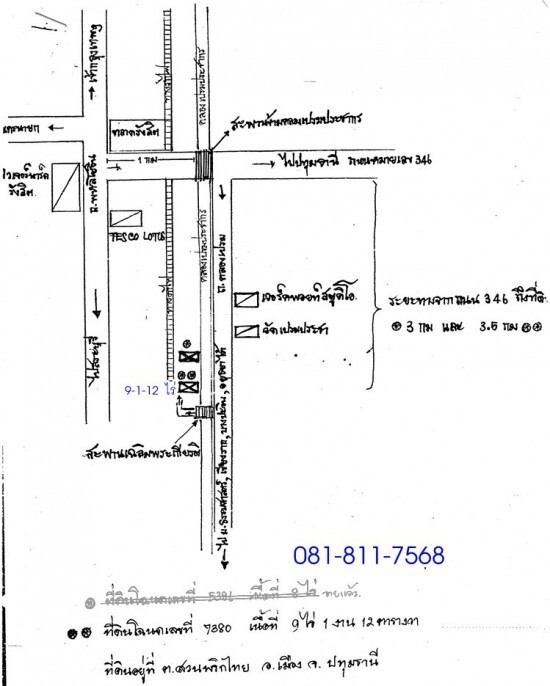
ขายถูก ที่ดิน 9-1-12 ไร่ ใกล้สถานีรถไฟรังสิต ถนนวัดคลองเปรมประชา ทางไปเวิร์คพ้อยท์ รังสิต
ขายที่ดิน ใกล้สถานีรถไฟรังสิต ถนนวัดคลองเปรมประชา ทางไปเวิร์คพ้อยท์ รังสิต
เนื้อัที่ 9-1-12 ไร่ สวย สี่เหลี่ยมผืนผ้า ตำบลบางพูน-รังสิต
ปทุมธานี หน้าที่ดินติดคลองเปรมประชา
อากาศดี อยู่ตรงข้ามเยื้องวัดเปรมประชากร
ใกล้บริษัท เวิร์คพ้อยท์ ใกล้ตลาดรังสิต
ทางเข้าออกสะดวก ขายถูก เจ้าของขายเอง ไร่ละ 2.5 ล้านบาท (สองล้านห้าแสนบาท/ไร่)
โทร. 081 8117568 email: [email protected]
![]() |
| ติดต่อ: | พล | อีเมล์: | |
| โทรศัพย์: | 0818117568 | จังหวัด: | ปทุมธานี |
| คำค้น: | ซื้อขายที่ดินแถวเวิอคพ้อยท์ | ทางไปวัดรังสิต | คนรับซื้อที่ดินแถวเวิอคพ้อยท์ | ขายที่ดิน สถานีรถไฟคลองหนึ่ง | แผนที่โรงเรียนเปรมประชา | ขายที่ดิน คลองเปรมประชากร 1672013 | สงกรานต์ อัจฉริยะทรัพย์ | วัด รังสิตคลอง 15 | วัดรังสิต | แผนที่คลองเปรมประชา รังสิต | | ||
ลงประกาศ | เลื่อนประกาศขึ้น | ลบประกาศ | แก้ไขประกาศ
[ รับจำนอง ขายฝาก บ้าน ที่ดิน ทั่วประเทศ กู้เงินง่าย ได้เงินไว ไม่เช็คแบล็คลิส ]
ลงประกาศ | เลื่อนประกาศขึ้น | ลบประกาศ | แก้ไขประกาศ

