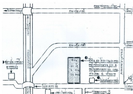
ขายที่ดิน 49ไร่เขตลาดกระบัง ติดถนนฉลองกรุง
'ขายที่ดิน 49ไร่เขตลาดกระบัง ติดถนนฉลองกรุง
ขนาดที่ดิน 49-3-49
หน้ากว้างประมาณ 110เมตร
อยูาในเขตลาดกระบัง ที่ดินตั้งอยู่ติดถนนฉลองกรุง เยื้องกับแยดไฟแดงวัดสุธาโภชน์ ห่างจากแยกเจ้าคุณทหาร เพียง 2กิโลเมตร ตรงไปอีก 50เมตร ก็เข้านิคมอุตสาหกรรมลาดกระบัง
ออกมาทางขวาข้ามสะพาน ก็จะเข้าสถาบันเทคโนลยีลาดกระบัง
านจากเทคโนโลยี ไปตลาดหัวตะเข้ - สุวรรณภูมิ ได้
สะดวกสบายในการเดินทางอย่างมาก
ขายไร่ละ 6ล้านบาท
สนใจ ต่อรองราคาได้
กี้ 082-450-6363
![]() |
| ติดต่อ: | กี้ | อีเมล์: | |
| โทรศัพย์: | 0824506363 | จังหวัด: | กรุงเทพมหานคร |
ลงประกาศ | เลื่อนประกาศขึ้น | ลบประกาศ | แก้ไขประกาศ
[ รับจำนอง ขายฝาก บ้าน ที่ดิน ทั่วประเทศ กู้เงินง่าย ได้เงินไว ไม่เช็คแบล็คลิส ]
ลงประกาศ | เลื่อนประกาศขึ้น | ลบประกาศ | แก้ไขประกาศ

