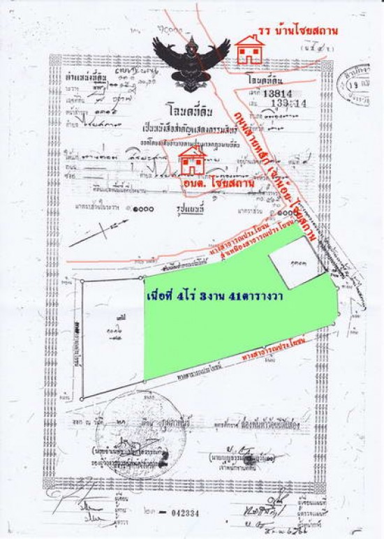
ขายที่ดิน 4ไร่ 3งาน เส้นทางเขาน้อย-ไชยสถาน
ที่ดินพื้นที่ 4ไร่ 3งาน 41ตารางวา
ที่ตั้ง บ้านเด่นไหม่ หมู่9 ตำบลไชยสถาน อำเภอเมือง จังหวัดน่าน
เส้นทาง เขาน้อย - ไชยสถาน
ห่างจากพระธาตุเขาน้อย 4กม.
ห่างจาก อบต.ไชยสถาน 200 เมตร
ห่างจากโรงเรียนบ้านไชยสถาน 500 เมตร
ดิดทางสาธารณะประโยชน์ 3ด้าน
พื้นที่ปลูกไม้สัก 5ปี ประมาณ 2ไร่
เจ้าของขายเอง
081-9420314 เจน
![]() |
| ติดต่อ: | คุณเจน | อีเมล์: | |
| โทรศัพย์: | 081-9420314 | จังหวัด: | น่าน |
ลงประกาศ | เลื่อนประกาศขึ้น | ลบประกาศ | แก้ไขประกาศ
[ รับจำนอง ขายฝาก บ้าน ที่ดิน ทั่วประเทศ กู้เงินง่าย ได้เงินไว ไม่เช็คแบล็คลิส ]
ลงประกาศ | เลื่อนประกาศขึ้น | ลบประกาศ | แก้ไขประกาศ

