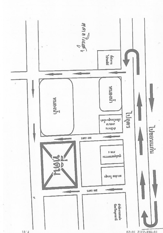
ขายที่ดินถมแล้ว 15 ไร่ ติดเทศบาลต.โนนสูง อ.เมือง จ.อุดร ใกล้ที่ชุมชน และสถานที่ราชการ และตลาดสด
ขายที่ดินถมแล้ว ติดถนนรอบด้าน ติดเทศบาลเมืองโนนสูง อ.เมือง จ.อุดร ใกล้สถานที่ราชการ และตลาดสด เหมาะทำหมู่บ้านจัดสรร ขายไร่ละ 1 ล้านบาท
![]() |
| ติดต่อ: | อิสรีย์ | อีเมล์: | |
| โทรศัพย์: | 081 2576933 | จังหวัด: | อุดรธานี |
ลงประกาศ | เลื่อนประกาศขึ้น | ลบประกาศ | แก้ไขประกาศ
[ รับจำนอง ขายฝาก บ้าน ที่ดิน ทั่วประเทศ กู้เงินง่าย ได้เงินไว ไม่เช็คแบล็คลิส ]
ลงประกาศ | เลื่อนประกาศขึ้น | ลบประกาศ | แก้ไขประกาศ

