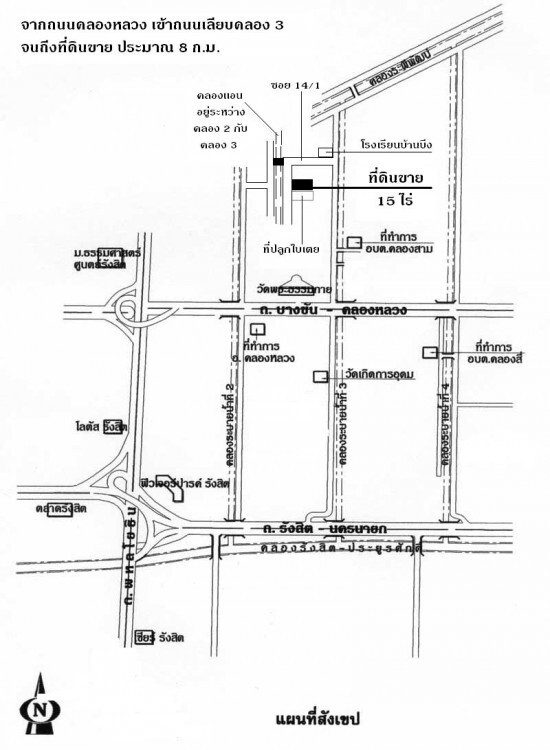
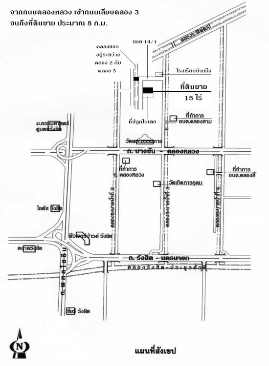
ขายที่ดิน 15 ไร่ อยู่คลองสาม ฝั่งวัดพระธรรมกาย ปทุมธานี
เนื้อที่ 15 ไร่ ที่สวย ด้านหน้าติดคลองส่งน้ำ (คลองแอน)/ เข้า-ออกทางคลอง 3 หรือคลอง 2 ก็ได้ จากถนนคลองหลวงไปประมาณ 8 ก.ม.จะถึงที่ดิน / ขายไร่ละ 1.2 ล้านบาท (คุยกันได้) โทร.081-730-2070
![]() |
| ติดต่อ: | วัชรี | อีเมล์: | |
| โทรศัพย์: | 0817302070 | จังหวัด: | ปทุมธานี |
ลงประกาศ | เลื่อนประกาศขึ้น | ลบประกาศ | แก้ไขประกาศ
[ รับจำนอง ขายฝาก บ้าน ที่ดิน ทั่วประเทศ กู้เงินง่าย ได้เงินไว ไม่เช็คแบล็คลิส ]
ลงประกาศ | เลื่อนประกาศขึ้น | ลบประกาศ | แก้ไขประกาศ

